のろやま

身の回りの小さな発見と驚きを見つける旅に出かけたい

2017-09-01から1ヶ月間の記事一覧

手仕事

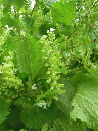
シソの花、下から咲き始め彼岸の頃終わりを迎える。あとでも先でもあまりよくない。さきっぽに花が残るか残らないか。この絶妙なタイミングが大事とのこと。 この草なんだろうなと図鑑を開く時、何科かなと葉や花、クキなどの特徴から絞り込んでいきますが、…

目立たないけど美しい

目立たない。決して主役ではない、蛾の仲間たちだけれども、よく見ると美しい。その名も「ビロードハマキ」なんともゴージャスな名前がついたものですね。ビロード=毛・織物/ハマキ=幼虫などが椿の葉などを書き込んで巣を作る。この日、あちこちで舞って…

好きになるということ

森とのふれあい方は人それぞれ。みんな好みがあり、付き合い方も違います。 でもね、もっと生き物と友だちになりたかったら、無条件で好きになること。森に恋することかな。 恋すると、四六時中森のことを考えて。いろいろ知りたくなる。いろんな想像をして…

森の鐘と花風船

雨上がりのくろんどの森に、軽やかな鐘の音色が響く。風に揺られ、住んだ音が遠くまで響き渡る。 鐘の音に誘われて、小さな訪問者がやってきた。ツルニンジンはハチさんのお気に入りのようです。 裏山のくろんど園地、結構歩いているのですが、まだまだ初め…

秋訪れる

夏の名残も、はらりはらりと地に戻っていく。 みんな、無事育ち子孫を残すことが出来たかな。 一粒一粒、泥を集め、一生懸命に唾液と混ぜて作った子育てのすみかも、草むらの中で静けさを取り戻していた。 秋の花咲き乱れる。秋は小さな花が多い。 森のあち…

Lucy Rose

いつの頃からか、人は小鳥から歌を習い 風とメロディーを奏でることを教わった。 なぜか気になる歌声 イギリスのシンガーソングライター「Lucy Rose」が来日し、大阪に来ることを知り 生で歌声を聞いてみたいと心動かされた。 ライブに出かけるのはこれが初…

のろのろ歩き

シロダモかな、クスノキ科にはクロアゲハの幼虫アゲハ系のチョウチョは可愛らしく好きです。 そんなこんなできょろきょろしながら歩いていると、まったく歩が進まない。最近、駅前にトレランのショップが出来たりして裏山も賑わっている。でもね、私は生き物…

サルトリイバラと柏餅

春、サルトリイバラの透明感のある素敵な花を見つけて以来、とても気になる存在になっていた。 さわると痛いトゲは、忍者がお城に忍ぶときに使う、投げ縄のよう。 クキクキとトゲと、トゲの横に延びるツルの二つの道具を巧みに使い、空へ空へ登っていく。 高…

サルトリイバラの葉の裏に

春先から、食草を意識して歩くようにしている。 ルリタテハの幼虫の食草は、ユリやホトトギスの仲間、そしてサルトリイバラの葉 この日、くろんど園地の山を散歩しながら大きくなったサルトリイバラの葉を意識しながら歩いて見た。 サルトリイバラの葉っぱに…

今年のゴブリン

地面にはいつくばってカメラを構えていると、何がいるの?通りがかりのおじさんに声をかけられた。 「ゴブリン」がいるんです!と言うわけにもいきませんよね。ゴブリンは、ヨーロッパに伝わる伝説の生物で、映画にもよく出てきますよね。トチさんがゴブリン…

第42候「禾乃登(こくものすなわちみのる)」

■禾乃登(こくものすなわちみのる) 穀物が実り始める頃。田の稲、花開き始めていた。 この夏は天候不順の影響で、各地で野菜が不作とニュースで報道されている。 私の耕している小さな家庭菜園でも同じで、ピーマンなど不作だった。 しかし、周りを見渡せば…

ムラサキシジミ

薄暗い照葉樹の森を歩いていると、時折はっとするほど美しい小さな蝶がひらめくことがある。 鮮やかな紫色の羽を持つ、ムラサキシジミとムラサキツバメです。今回であったのは、羽の下側に突起がないのでムラサキシジミ羽を閉じると薄暗い闇にとけ込んでしま…

月の力

狼男なども満月の夜にに変身すると言われ、月には不思議な力が備わっていると古くから考えられてきた。 月夜に向かって花ひらく、夜咲きの睡蓮がある。 昼間太陽が天にある時は静かに眠り。 夕闇が訪れると静かに花開き始める。 一枚、二枚と花びら開く。大…

ヤマトタマムシ

夏から秋が同居する空の元 私市植物園の桜山で空をみあげていると、独特の姿勢で飛ぶ姿が目に入った。 ヤマトタマムシだ。 その姿を追いかけると、一本の山桜に着地した。 この山桜は、年を取り上部が枯れかけていて、これまでも何度かヤマトタマムシがいる…